web
counter
Skip to main content

Travel advice and safety during hurricane season

 

Global Affairs Canada today issued the following statement: 

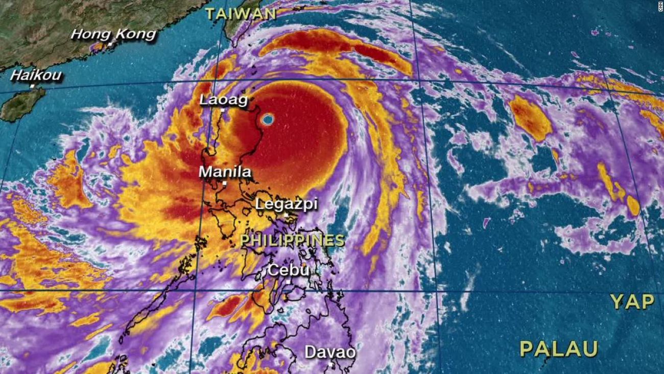
“As Hurricane Florence, Tropical Storm Isaac and Super Typhoon Mangkhut are all expected to make landfall this week, the Government of Canada reminds Canadians of the importance of making safe travel arrangements.

“For Super Typhoon Mangkhut, Canadians should avoid non-essential travel to China’s Guangdong province, from Hong Kong south to Zhanjiang.

 

“If you reside in the affected areas, you should exercise caution, monitor local news and weather reports, and follow the instructions of local authorities, including evacuation orders.

“We encourage travellers to check our Travel Advice and Advisories regularly at Travel.gc.cafor up-to-date information on their destination. They can also download the free Travel Smart app to receive updated travel advice on the go. 

“We also recommend that all Canadians travelling abroad sign up for the Registration of Canadians Abroad service. This free service will allow the Government of Canada to reach them in case of an emergency or during a natural disaster abroad.

“Canadians can also follow us on Twitter @TravelGoC and @CanadaFP or on Facebook at https://www.facebook.com/travelGoC.

“Canadians should contact their loved ones who may be in harm’s way to ensure that they are aware of the latest recommendations.

“Canadians requiring consular assistance should contact the following offices:

  • China’s Guangdong province, from Hong Kong south to Zhanjiang: Embassy of Canada to China in Beijing +86 (10) 5139-4000

“Canadians can also contact Global Affairs Canada’s 24/7 Emergency Watch and Response Centre in Ottawa by calling collect +1 613 996 8885 or by sending an email to This email address is being protected from spambots. You need JavaScript enabled to view it..

“We will continue to monitor the situation related to Hurricane Florence, Tropical Storm Isaac and Super Typhoon Mangkhut very closely in order to provide assistance to Canadians who might be affected.”